又有颱風生成!銀杏颱風「暴風圈恐掃過南台灣」 專家曝光 「最接近時間點」

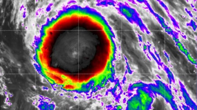
今(4)日上午2點左右,今年第22號颱風「銀杏」正式生成,上午9點時觀測位於菲律賓東南方海面,目前以時速20公里朝西北西移動,其中心氣壓為1000百帕、近中心附近最大風速每秒20公尺、瞬間最大風速每秒30公尺。包含日本氣象廳、我國中央氣象署都在稍早公開最新預測,影響台灣的機率也隨之曝光。
圖片來源:日本氣象廳


日本氣象廳指出,銀杏可能在後天轉北西,往菲律賓北部進發,在本月8、9日時,暴風圈可能會掃過台灣南部,預計在半徑200公里內都會有影響。包含韓國、中國大陸的官方預測也顯示,銀杏將於3天後轉向西,穿越呂宋島、進入南海,但目前路徑仍可能變動。
圖片來源:NCDR


基本上,目前朝台灣、日本進擊的機率偏低,但本月6日可能西北方向西轉,就算不會直撲台灣,但等到本月8日當天,颱風的暴風圈可能會掃過台灣本島,到時候中心附近最大風速達每秒23公尺,最大瞬間風速為每秒35公尺,依舊能造成一定程度的災害。
圖片來源:DAPYI


中央氣象署預報員陳佩安則補充,本週末尾確實在台灣東南外海有影響機率,也坦言6日將是觀測重要時間,因此8日的路徑詳情仍可能修正,更遑論與東北季風的共伴效應會造成何種狀況。至於颱風強度,則不排除上看中颱。與此同時,6日除了路徑問題,速度也可能在經過呂宋島時趨緩,需再觀察。另外,今起至本週三,基隆北海岸、東北、大台北山區等地,恐有局部較大雨勢機率。


影片來源:YouTube


颱風季到底何時結束啊⋯⋯都已經11月了!


資料來源:ETtoday新聞雲







© zonepeer.com 2026   |   Privacy Policy